Retour à ma recherche

Terrains d’activités viabilisés – ZA de Pey – Pontacq

Télécharger l'annonce
Achat
A Pontacq (64)
Terrain
3621m²
Référence du bien : 868

Le plus du bien

ADI établit des mises en relation vers des offreurs de solutions mais ne réalise elle-même aucune contractualisation ou transaction.

Présentation du bien



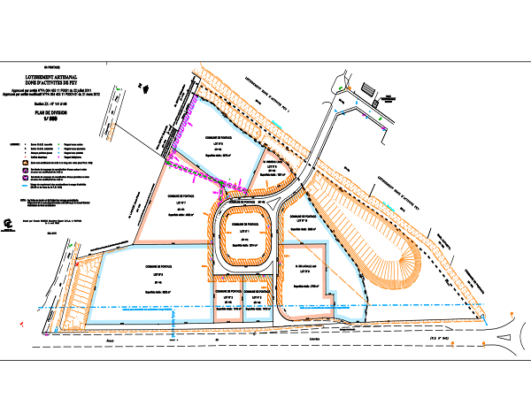
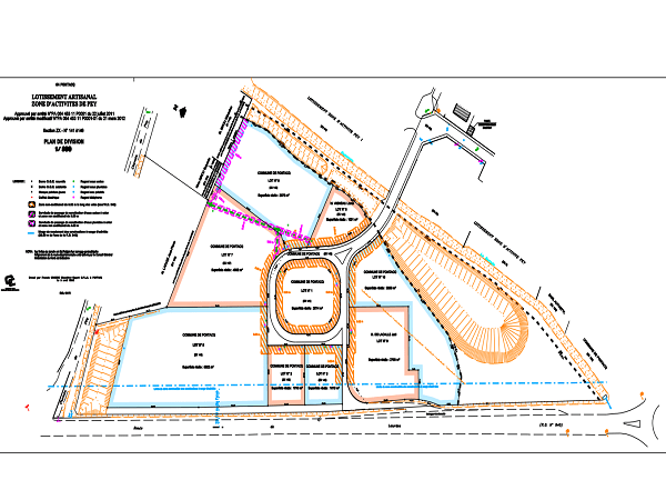
Terrain d'activités viabilisé à vendre dans la Zone d'Activités de Pey-Pontacq (ZAP)

Profitez de cette occasion unique d'acquérir un terrain aménagé de 3621 m² à vendre dans la Zone d'Activités de Pey-Pontacq. Bénéficiant d'une situation géographique exceptionnelle en bordure de la route départementale 940, cet espace offre un accès facile aux deux grands bassins économiques de Pau et Tarbes/Lourdes.


Localisation privilégiée de la Zone d'Activités de Pey-Pontacq

La ZAP bénéficie d'une localisation stratégique. Située sur un axe routier à fort passage, cette zone d'activités assure une excellente visibilité à votre entreprise et facilite l'accès à vos clients, fournisseurs et partenaires. Avec sa position entre les deux bassins économiques majeurs de Pau et Tarbes/Lourdes, elle offre un environnement d'affaires dynamique et diversifié.


Caractéristiques du terrain à vendre

Le terrain à vendre est aménagé et prêt à accueillir votre projet. Avec une superficie de 3621 m², il offre suffisamment d'espace pour construire votre établissement selon vos spécifications. Que vous soyez dans le secteur industriel, commercial, ou de service, ce terrain répond à vos exigences et contribue à votre croissance.


Potentiel d'investissement dans la Zone d'Activités de Pey-Pontacq

Ce terrain à vendre dans la ZAP représente une opportunité d'investissement significative. Investir dans cette zone d'activités, c'est miser sur la croissance économique de la région, bénéficier d'une excellente visibilité, et profiter d'une facilité d'accès à deux centres économiques majeurs. Il s'agit d'un investissement judicieux pour les entreprises en pleine expansion.


Contactez-nous

Saisissez cette opportunité d'acquérir un terrain aménagé dans la Zone d'Activités de Pey-Pontacq. Cette acquisition représente une valeur ajoutée considérable pour votre entreprise et ouvre la porte à de multiples possibilités de développement. Donnez une nouvelle impulsion à votre activité en investissant dans ce terrain stratégiquement situé.


La Zone d'Activités de Pey est située à 10 minutes de Lourdes,
Autoroute A64 à moins de 15 minutes
Aéroport Pau-Pyrénées à 25 minutes
Aéroport Tarbes Lourdes à moins de 15 minutes

Les caractéristiques du terrain

Les lots 12, 1 et 10 sont disponibles à la vente. Plusieurs lots en visibilité directe depuis la départementale.

Oui

Photos

Contactez-nous

ON VOUS RAPPELLE !

Laissez-nous votre numéro.
Un conseiller vous recontacte.

POUR NOUS JOINDRE...

N’hésitez pas à nous contacter par téléphone au 05 57 57 84 84 du lundi au vendredi.

Swann
Conseiller implantation à votre écoute
guillemet_ouverture

Parlons de votre projet