Retour à ma recherche

A vendre – terrains viabilisés – Morlaàs – Buros (64)

Télécharger l'annonce
Achat
A Morlaas (64)
Terrain
A partir de 2684m²
Référence du bien : 1319

Le plus du bien

- Zone très proche de l'agglomération Paloise

ADI établit des mises en relation vers des offreurs de solutions mais ne réalise elle-même aucune contractualisation ou transaction

Présentation du bien

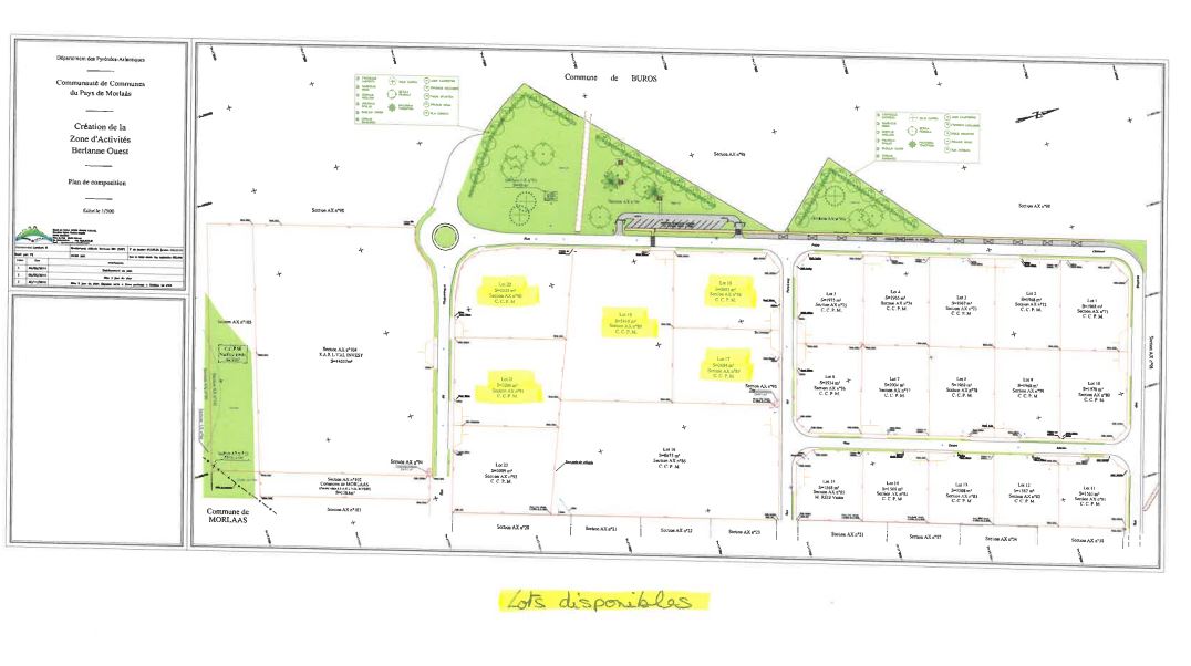
Offre Exceptionnelle : Terrains Viabilisés à Vendre à Morlaas Buros

Découvrez cette opportunité unique : des terrains viabilisés à vendre dans la zone attractive de Morlaas Buros. Les surfaces varient entre 2684 m² à 5400 m², correspondant aux lots 17 à 21 sur le plan joint.

Caractéristiques des Terrains à Morlaas Buros

Les terrains proposés sont parfaitement viabilisés, prêts à accueillir vos projets immobiliers. La gamme de surfaces disponibles, allant de 2684 m² à 5400 m², offre une grande flexibilité pour répondre à vos besoins spécifiques.

Attractions et Commodités de Morlaas Buros

La localisation de ces terrains à Morlaas Buros offre un cadre de vie exceptionnel, bénéficiant d'une proximité avec les commodités tout en profitant du charme unique de cette région.

Saisissez cette Opportunité d'Investissement

Si vous cherchez à investir dans l'immobilier à Morlaas Buros, ces terrains viabilisés sont une opportunité à ne pas manquer. Prenez contact dès maintenant pour plus d'informations sur ces terrains exceptionnels.

- Proximité agglomération de Pau avec ses services et ses commerces
- Proche futur échangeur Autoroute A64
- Proche Chronopost et Amazon

- Tous les services de l'agglomération de Pau

Les caractéristiques du terrain

- Lots de 2684 m² à 5400 m² - Assainissement collectif
- La Communauté de Communes souhaite privilégier les cessions pour les projets d'entreprises selon les critères de priorité suivants :
▶️ Entreprises industrielles, de service à l'industrie et d'artisanat de production
▶️ Installation d'activités apportant un nouveau service aux entreprises au sein de la ZA

1 m²

non

Oui

oui

oui

oui

Photos

Contactez-nous

ON VOUS RAPPELLE !

Laissez-nous votre numéro.
Un conseiller vous recontacte.

POUR NOUS JOINDRE...

N’hésitez pas à nous contacter par téléphone au 05 57 57 84 84 du lundi au vendredi.

Swann
Conseiller implantation à votre écoute
guillemet_ouverture

Parlons de votre projet